
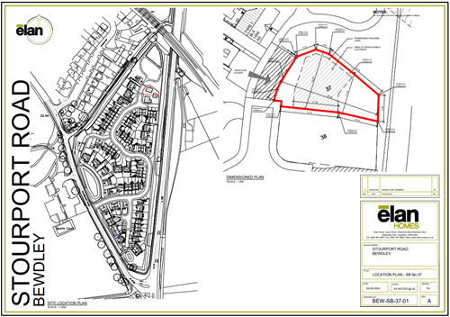
To be read in conjunction with Location Plan SB-37-01-A Location Plan, inclusive of precise boundaries and development guidelines.
Design code – None. Design guidance documents
- Streetscape Design Guide, July 2022, Worcestershire County Council.
- Nationally Described Space Standards, September 2015.
- A suggested Plot Housetype Planning drawing is also supplied - BEW-G-P-WYT.
Design Parameters:
- Dual Aspect plot to provide frontages to the roadside and Public Open Space.
- Back-to-back distances – 22m.
- Plot area – 312m2.
- Gross Internal Area – 1,249 sq.ft. (Wythall), 2-storey unit.
- Side spacing – minimum 1m to either side boundary. Allow 3m for side drive, or 3.3m if principal access route is also alongside drive.
- Building Height Restrictions – 2-storey only. No definitive height restriction, however, 10m would be a reasonable maximum. Tallest Ridge on site is circa 9.3m.
- Proximity Restraints - Allow minimum 12m distance to any building facade, no habitable room windows to South elevation (facing plot 38).
- Developable footprints and Permissible Building Lines are illustrated on the attached drawing SB-37-01-A.
- Rear garden boundary treatments are to consist of brickwork screenwalls (with appropriate piers and with/without fence panels), closeboarded fences (with/without trellis), or combinations of these, and to be maximum 1800mm high without trellis or 2100mm with. Front and side gardens may have timber knee rails (max.600mm high), metal railings (max.1100mm) or timber post and rails max.900mm high, or low level walls (max.600mm). Soft landscaping not confined but example provided for the self-build plots as per whole site strategy.
- Services and Utilities: Air source heat pumps required to be main source of heating / hot water. Electric car charging point to be installed. Drainage to be connected to new SW / Combined sewer under main residential road. Electric, water and BT connections will be provided to the property.
- Car Parking is required with 2 spaces for 2/3bed properties & 3 spaces for 4+bed properties. Garages are excluded from the parking provision calculation.
- Cycle Parking is required with 1 space per bedroom up to 3bed properties, then
3spaces per 4bed, 4spaces per 5bed. Garages can be used as storage where
they have a minimum 3x6m internally. - Access is via the residential road and from the frontage only (West) and Shared Private Driveway, serving Plots 35, 36 & 37.
- Bin Storage - 1200x1200 hardstanding to be located within the rear gardens and accessible to within 25m of adopted footpath for refuse collection by the Local Authority.
- External materials palette to be complementary to the wider estate and approved by the Local Planning Authority.

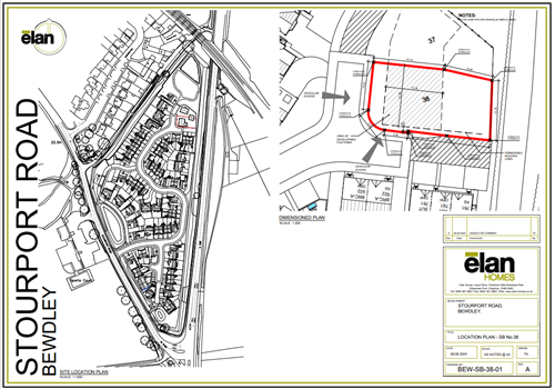
To be read in conjunction with Location Plan SB-38-01-A, inclusive of precise boundaries and development guidelines.
Design code – None. Design guidance documents –
- Streetscape Design Guide, July 2022, Worcestershire County Council.
- Nationally Described Space Standards, September 2015.
- A suggested Plot Housetype Planning drawing is also supplied - BEW-G-P/BLE02.
Design Parameters:
- Back-to-back distances – 22m.
- Plot area – 312m2.
- Gross Internal Area – 1,655 sq.ft. (Blenheim), 2-storey unit.
- Side spacing – minimum 1m to either side boundary. Allow 3m for side drive, or 3.3m if principal access route is also alongside drive.
- Building Height Restrictions – 2-storey only. No definitive height restriction, however, 10m would be a reasonable maximum. Tallest Ridge on site is circa 9.3m.
- Proximity Restraints - Allow minimum 12m distance to any building facade, no habitable room windows to South elevation (facing plot 38).
- Developable footprints and Permissible Building Lines are illustrated on the attached drawing SB-38-01-A.
- Rear garden boundary treatments are to consist of brickwork screenwalls (with appropriate piers and with/without fence panels), closeboarded fences (with/without trellis), or combinations of these, and to be maximum 1800mm high without trellis or 2100mm with. Front and side gardens may have timber knee rails (max.600mm high), metal railings (max.1100mm) or timber post and rails max.900mm high, or low level walls (max.600mm). Soft landscaping not
confined but example provided for the self-build plots as per whole site strategy. - Services and Utilities: Air source heat pumps required to be main source of heating / hot water. Electric car charging point to be installed. Drainage to be connected to new SW / Combined sewer under main residential road. Electric,
water and BT connections will be provided to the property. - Car Parking is required with 2 spaces for 2/3bed properties & 3 spaces for 4+bed properties. Garages are excluded from the parking provision calculation.
- Cycle Parking is required with 1 space per bedroom up to 3bed properties, then 3spaces per 4bed, 4spaces per 5bed. Garages can be used as storage where they have a minimum 3x6m internally.
- Access is via the residential road and from the frontage only (West).
- Bin Storage - 1200x1200 hardstanding to be located within the rear gardens and accessible to within 25m of the adopted footpath for refuse collection by the Local Authority.
- External materials palette to be complementary to the wider estate and approved by the Local Planning Authority