Skip to content

Wyre Forest District Council (Off Street Parking Places) Order 2025

Notice of proposals

16 January 2025

Notice is hereby given that the Wyre Forest District Council (‘the Council’) in exercise of its powers under section 32 of the Road Traffic Regulation Act 1984 and of all other enabling powers proposes to make the above Order. The effect of the Order shall be:

  1. To revoke the current Order and reinstate those provisions save for the amendments proposed;
  2. To remove the Weavers Wharf Surface Vehicle Park, Kidderminster from the Order.

A copy of the Order, plans showing the land affected and a statement of the Council’s reasons for making the Order can be inspected between 09:00 and 16:30 Monday to Friday at Wyre Forest House, Kidderminster and The Hub at Green Street, Kidderminster, and on the Council’s website.  If you wish to object to this Order, the objection together with the grounds for making it must be made in writing to the Solicitor to the Council  at Wyre Forest District Council, Wyre Forest House, Finepoint Way, Kidderminster, DY11 7WF or on the following e-mail address: TheSolicitortotheCouncil@wyreforestdc.gov.uk not later than 4pm on 5 February 2025.

CS Newlands

Solicitor to the Council

Dated the 16 January 2025

 

Statement of Reasons

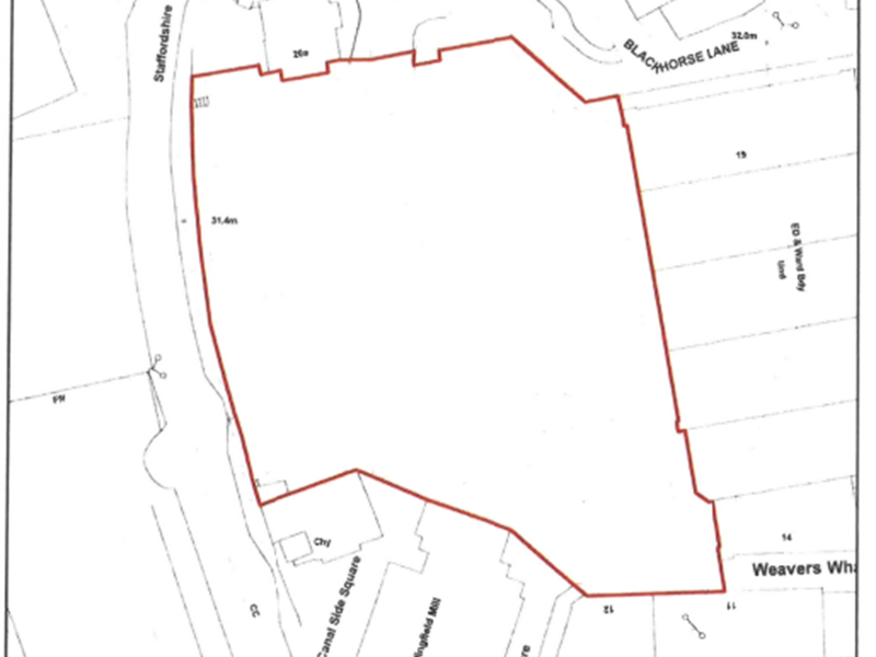
  1. For the purpose of this Statement of Reasons references to ‘the Land’ shall be to the land outlined in red on Plan A.
  2. It is proposed that the Weavers Wharf Surface Vehicle Park, a car park in Kidderminster, owned by LCP Estates Ltd and managed on their behalf (including enforcement) by Wyre Forest District Council, is removed from the Wyre Forest District Council  (Off-Street Parking Places) Order (“the Order”).
  3. The reason for the proposed removal of the Land from the Order is as follows:
    1. The owner of the car park wishes to manage the car park and parking enforcement on the site by itself.
    2. The owner intends to improve the infrastructure within the car park to make for more efficient parking management.
    3. The owner intends to invest in repairs and upkeep of the car park.
    4. To allow the owner to expand the facility of concessionary discounts.
  4. Plan A shows the Weavers Wharf Surface Vehicle Park, Kidderminster that is to be removed from the Order.

 

 

Website feedback
Was this page useful? Required
Yes, I give permission to store and process my data
We will only contact you regarding this feedback.
Back to top